1445 Scarlett Ranch Boulevard, Carstairs, Alberta T0M 0N0

MLS® # A2198926

$3,990,000

Key Details

STATUS
For sale

Description

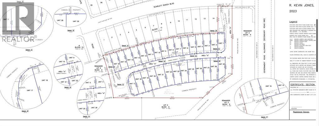
Serviced, ready to build lots available in Carstairs, total 27, smaller batch purchase available, some with plans and have commenced constructions. 27 lots available, minimum purchase 13 lots. Average $100k per lot (half duplex lot). Condo building in this zone only. Also undeveloped land available 20-60 acres, priced to sell.Land is within the townsite of Carstairs. Great existing community, with Schools. Sports grounds nearby. For developers and builders thatis ready to built. New houses are already built across the street. Excellent opportunity given the proximity to HWY 2 and Calgary. 25 minutes to Airdrie, 39 minutes to Calgary (54km). Total 60 acres available. Seller is motivated. (id:54406)

PROPERTY FEATURES

  • MLS® Number A2198926
  • Price $3,990,000
  • Plan 1210982

Buildings

Age Age Is Unknown

Land

Acreage Yes Fence Type Not Fenced
Size Irregular 22.00 Size Total 22 Ac|10 - 49 Acres
Size Total Text 22 Ac|10 - 49 Acres Zoning Description R1

BROKERAGE

  • Office: First Place Realty
Address

Do you have questions?

Call or text today, we are here to help!

+1 403-850-2754

Scroll to Top